About this artwork
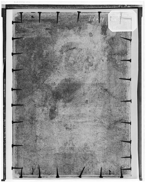
Editor: We’re looking at an X-radiograph of “Madonna Enthroned,” by Bernardo Daddi. It’s fascinating to see art through this scientific lens, but also eerie – almost ghostly. What does this x-ray reveal to you about the history of this artwork? Curator: This image provides invaluable insight. Beyond the surface, it exposes the artist's process, alterations, and materials. These X-rays help conservators understand the painting's structure and plan the best treatments. They also influence our understanding of the artwork's public role and history. What do you think museums gain from showing this behind the scenes aspect? Editor: That’s a great point. It makes the artwork feel more like a historical object, rather than just something pretty to look at. Curator: Exactly. It makes us question how the artwork has come to be displayed in a museum and how it has been taken care of. It gives the artwork more meaning than just its artistic beauty.
X-radiograph(s) of "Madonna Enthroned"
Artist of original: Bernardo Daddi
@artistoforiginalbernardodaddiHarvard Art Museums
Harvard Art MuseumsArtwork details
- Dimensions
- film size: 14 x 17
- Location
- Harvard Art Museums
- Copyright
- CC0 1.0
Comments
Share your thoughts
About this artwork
Editor: We’re looking at an X-radiograph of “Madonna Enthroned,” by Bernardo Daddi. It’s fascinating to see art through this scientific lens, but also eerie – almost ghostly. What does this x-ray reveal to you about the history of this artwork? Curator: This image provides invaluable insight. Beyond the surface, it exposes the artist's process, alterations, and materials. These X-rays help conservators understand the painting's structure and plan the best treatments. They also influence our understanding of the artwork's public role and history. What do you think museums gain from showing this behind the scenes aspect? Editor: That’s a great point. It makes the artwork feel more like a historical object, rather than just something pretty to look at. Curator: Exactly. It makes us question how the artwork has come to be displayed in a museum and how it has been taken care of. It gives the artwork more meaning than just its artistic beauty.
Comments
Share your thoughts