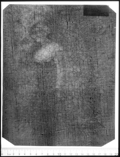
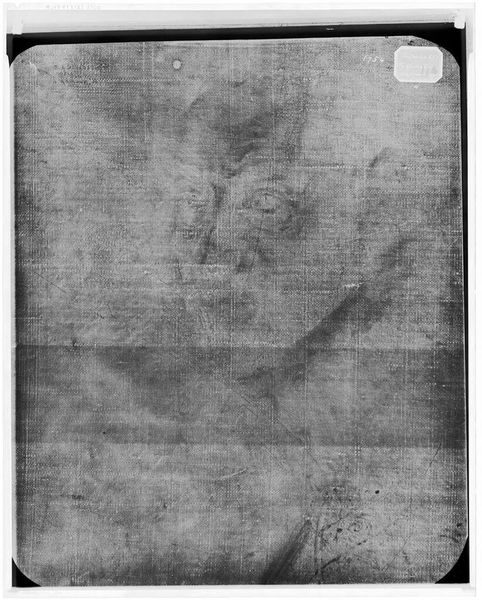
X-radiograph(s) of "Good Samaritan" by Artist of original: School of Rembrandt Harmensz. van Rijn

X-radiograph(s) of "Good Samaritan" 

0:00
0:00

Copyright: CC0 1.0

Editor: This is an X-radiograph of "Good Samaritan" from the School of Rembrandt. It's fascinating to see beneath the surface, like a ghostly image of the painting's structure. What hidden stories do you think this radiography can tell us? Curator: This image lays bare the materiality of the painting, revealing not just the artist’s hand but the social and economic structures that enabled its creation. The canvas itself, the pigments used, even the process of its creation—all speak to a specific time and place. What does this reveal about the power dynamics inherent in artistic production and reception during that era? Editor: It's like seeing the skeleton of a masterpiece and thinking about all the unseen labor that went into it. Thanks! Curator: Precisely. This X-ray exposes the layers, reminding us that art is never neutral; it’s embedded in a web of social relations. It makes you wonder about the power structures that dictate what we see and what remains hidden.

Show more

Comments

No comments

Be the first to comment and join the conversation on the ultimate creative platform.