X-radiograph(s) of "Boy with Goose" by Artist of original: Aelbert Cuyp

X-radiograph(s) of "Boy with Goose" 

Copyright: CC0 1.0

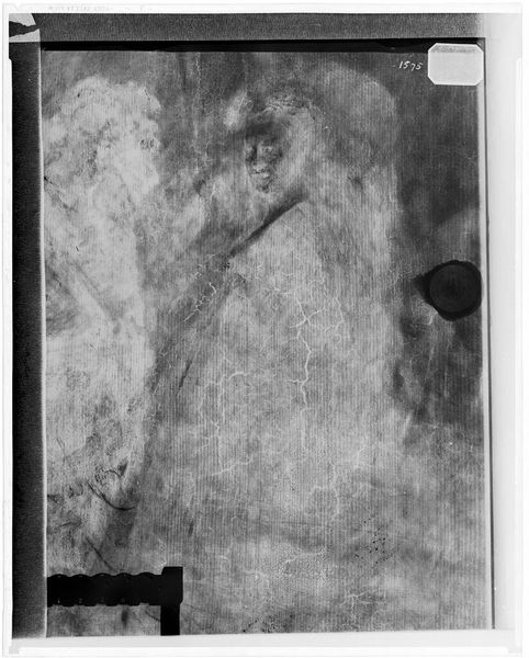
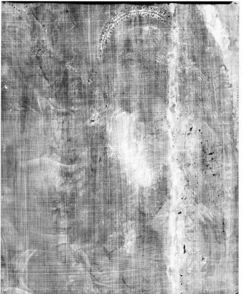
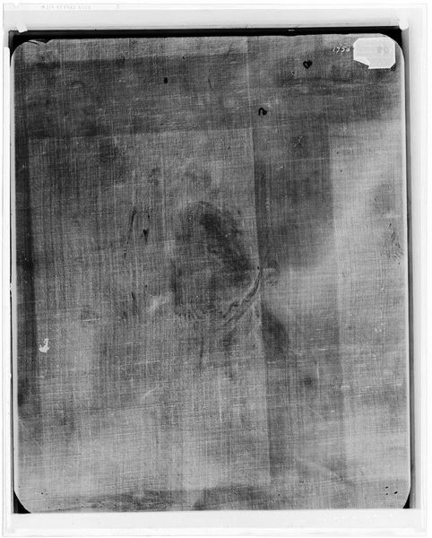
Curator: Here we have an X-radiograph of "Boy with Goose" by Aelbert Cuyp, part of the Harvard Art Museums collection. The image is, well, almost ghostly. Editor: It reveals the literal underpinnings of the painting—the grain of the wood, the density of the paint layers. It's as if the physical act of creation is laid bare. Curator: Precisely! The formal composition is deconstructed; we see only tonal values, not the original color palette. The X-ray offers an alternative lens through which to understand Cuyp's artistic intention. Editor: But isn't that intention also tied to the materials available? The quality of the wood, the composition of the pigments...those elements dictated Cuyp's choices as much as his artistic vision. Curator: That's a valid point. Yet, even through this technical image, we can appreciate the underlying structure that supports the surface image of the boy and goose. Editor: I'm drawn to how this highlights the process of making. How many hours spent grinding pigments and layering paint onto the wood? It really pulls back the curtain on the art. Curator: Indeed. The radiograph provides a unique perspective, enriching our appreciation of the original artwork. Editor: It shows us the literal foundations of the artwork, the bones of its making. Fascinating.

Show more

Comments

No comments

Be the first to comment and join the conversation on the ultimate creative platform.