X-radiograph(s) of "Madonna and Saints" by Artist of original: Neroccio di Bartolommeo de' Landi

X-radiograph(s) of "Madonna and Saints" 

0:00
0:00

Copyright: CC0 1.0

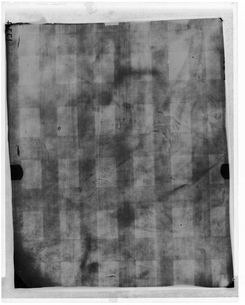
Editor: This is an X-radiograph of "Madonna and Saints" by Neroccio di Bartolommeo de' Landi. It looks like a grid, with ghostly traces of figures. What can an x-ray tell us about a painting like this? Curator: The grid reveals the painting's support structure. But look closer, can you see the Madonna's face emerging from the shadows? It speaks of layers, not just of paint, but of meaning and devotion accumulated over time. The X-ray reveals hidden construction and memories embedded within the work. Editor: It’s like archaeology, uncovering the secrets beneath the surface. Fascinating! Curator: Indeed. It reminds us that every image carries its own story, its own cultural DNA.

Show more

Comments

No comments

Be the first to comment and join the conversation on the ultimate creative platform.